Chodník v Karlštejnské ulici bude!

Chodník bude opožděn z důvodů provozních. Podobně jako slýcháme u zpoždění na železnici, že vlak bude opožděn z důvodů provozních, zpozdí se i stavba chodníku od potravin COOP kolem sokolovny ke hřbitovu.
Zatímco na dráze vám často nikdo nevysvětlí, co se skrývá za tou formulí provozní důvody, v případě chodníku v Karlštejnské vám to s dovolením vysvětlím.
Jsou v tom komplikace s dotacemi a změna materiálu, ze kterého chceme chodník postavit. Místo betonu bude nakonec žula.
Sice jsme si touto změnou teď přidělali práci, ale protože žula jednak vypadá lépe a hlavně vydrží víc než beton, tak se nám ty současné potíže vyplatí, jelikož nám chodník vydrží delší dobu a ještě bude líp vypadat.
A protože každá změna se musí oznámit tomu, kdo nám dává dotaci, musíme i nahrazení betonu kamenem hlásit.
A jak by řekl Pan Lorenc z filmu Na samotě u lesa: „To máte smlouvu s dodavatelem, papíry na Státní fond dopravní infrastruktury.“ Příprava takových dokladů trvá a pak trvá, než je vyřídí i druhá strana.
Je na místě se ptát, proč projekt měníme a proč jsme ho nepřipravili rovnou s žulou a projekt jsme museli měnit. Přiznám se, že udělení dotace bylo trochu nečekané. Žádali jsme několikrát a po předchozích odmítnutích se peníze objevily téměř ze dne na den. Nechci vás zatěžovat historií, ale o chodníku v Karlštejnské ulici uvažovalo již několik předchozích zastupitelstev. Projekt nechal zpracovat až můj předchůdce a to v roce 2017. Cena podle projektu 2 100 000 Kč. Nové zastupitelstvo podalo žádost na Státní fond dopravní infrastruktury (SFDI). Ten v roce 2019 naši žádost odmítl.
Po úvaze, co s projektem dál, jsme to zkusili u SFDI ještě jednou. Ani naše další žádost z podzimu 2019 nevyšla. Zamítavá odpověď přišla letos v květnu. V době, kdy se řešila korona, takže jsme měli i jiné starosti. Do toho se ale právě v květnu naskytla možnost dostat 966 tisíc od Středočeského kraje, který by na náš chodník přispěl z Fondu podpory venkova.
A v tom začal docela kalup, protože podmínkou bylo mít uzavřenou smlouvu s dodavatelem stavby. Na to jsme měli pouhý měsíc. Termín pro odevzdání žádosti včetně smlouvy byl 30. června. Smlouvu jsme podepsali 26. června a poslali na kraj. A měli jsme úspěch.
Tady by už mohl být konec příběhu. Obec by mohla vzít 966 tisíc od kraje, zbytek částky 2,1 milionu korun zaplatit ze svého, postavit chodník a byl by klid. Práce měly podle smlouvy začít v srpnu.
Jenže v červenci jsme se dozvěděli, že na Státním fondu dopravní infrastruktury zbyly peníze, takže nám dotaci dají. A to 1 550 000 korun. Což je pro obecní rozpočet výhodnější než 966 tisíc od kraje. Dotaci jsem přijal, ale protože od doby, kdy jsme začali se sérií žádostí na SFDI jsme vyměnili beton za žulu, projekt se změnil a my musíme dopravní fond požádat o změnu projektu. Bohužel do doby, než se vyřídí, tak se stavbou začít nemůžeme. Ve chvíli, kdy na SFDI změnu schválí, stavba začne. Kdy to bude, si netroufám odhadnout.
A co všechno postavíme?
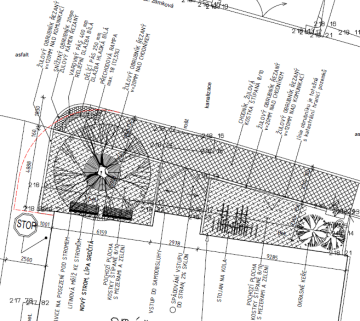
Na změně projektu spočívající ve výměně materiálu a úprav prostor před COOP, sokolovnou a hřbitovem pracoval pan architekt Tomáš Pavlas. U COOPu budou lavičky, stojany na kola a bude tu vzrostlá lípa, jak ukazuje i přiložený obrázek. Auta už nebudou stát přímo před prodejnou, ale parkovat budou v ulici K Berounce.
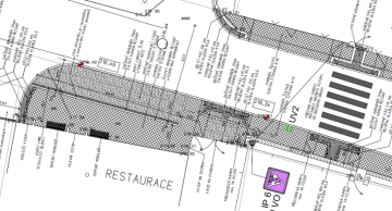
U sokolovny jsme se rozhodli pro širší chodník a vydlážděné parkoviště. S TJ Sokol jednáme o posunu vstupní brány, čímž by vznikl takový vzdušnější prostor před sokolovnou.
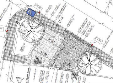
A před hřbitovem najdou řidiči dvě parkovací místa ze žulových kostek. Mezi nimi budou větší spáry než na chodnících, takže parkoviště bude částečně zatravněné. Parkování jízdních kol vyřeší stojan a vydláždíme vstup do hřbitova.
Tomáš Snopek
Návrh řešení prostor před prodejnou COOP

Návrh řešení prostoru před sokolovnou

Návrh prostor před hřbitovem
